La Sicilia col fiato sospeso: si teme l’arrivo di un uragano mediterraneo
Le temperature registrate tra lo Ionio e il Mar Libico negli ultimi giorni sono più alte rispetto alla media del periodo. Il fenomeno potrebbe portare alla formazione di un potenziale uragano
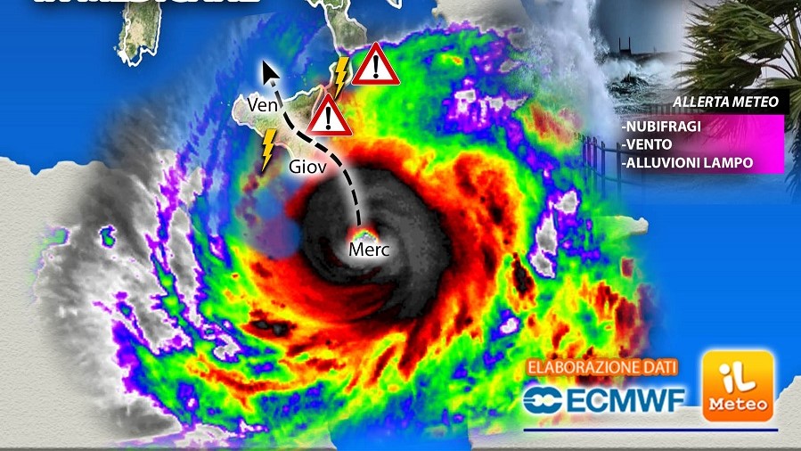
Dopo un giorno di tregua, in Sicilia si teme l’arrivo di un uragano mediterraneo. È atteso tra giovedì e venerdì. Quindi per l’Isola il peggio purtroppo potrebbe non essere passato. Secondo i meteorologi, l’ondata di violento maltempo che ha sferzato la Sicilia Orientale e la Calabria Ionica potrebbe riprendere forza e trasformarsi in un Medicane, come viene definito l’uragano mediterraneo, da Mediterranean-hurriCane. I venti diventerebbero impetuosi, oltre i 100 chilometri orari, e le piogge, insistenti, potrebbero protrarsi per 24/48 ore. Insomma, un vero incubo.
COSA È UN “MEDICANE”
I “Medicane” sono uragani locali che nascono nello Ionio occidentale. Anche se sono quattro volte più piccoli nel loro vortice ciclonico rispetto a quelli tropicali ed hanno aspetti diversi, sono molto intensi. Portano precipitazioni violente sulle coste dell’isola e della Calabria. Per questo i meteorologi hanno sviluppato dei modelli teorici con i quali i fenomeni sono diventati abbastanza prevedibili, anche con buona approssimazione. Questo è quanto ha dichiarato al Corriere della Sera Antonio Navarra, presidente del centro Euro-mediterraneo dei cambiamenti climatici (Cmcc) e professore di meteorologia e oceanografia all’Università di Bologna. La causa della maggiore frequenza e intensità di fenomeni così estremi, ha spiegato ancora Navarro, è legata alla temperatura delle acque superficiali del mare, rese sempre più elevate dal cambiamento climatico. In questi ultimi giorni, infatti, le temperature della superficie del mare Ionio e del mare Libico, sono state superiori rispetto alla media climatica del periodo.
VENERDÌ LA GIORNATA CRITICA
Se dovesse davvero concretizzarsi questo scenario, il maltempo potrebbe tornare ancora molto pesante. Soprattutto sulla Sicilia centro-orientale, settentrionale e poi sulla Calabria ionica. Sempre secondo i meteorologi, se giovedì pioverà diffusamente soltanto sulla Sardegna, sarà venerdì la giornata critica. Il possibile Medicane, posizionato proprio sulla Sicilia, potrebbe scatenare tutta la sua furia sull’isola e sulla Calabria ionica. I venti, che potrebbero soffiare con raffiche superiori ai 100 km/h, provocherebbero imponenti mareggiate sulle coste e le onde potranno superare i 4-5 metri di altezza sullo Ionio.
