Meteo, in Sicilia pronto un week end di maltempo con abbondanti piogge: le previsioni
Ottobrata agli sgoccioli, nelle prossime ore in Sicilia è prevista infatti una fase di maltempo con abbondanti piogge anche a...
Ottobrata agli sgoccioli, nelle prossime ore in Sicilia è prevista infatti una fase di maltempo con abbondanti piogge anche a...
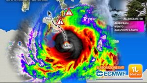
L'uragano mediterraneo (mediterranean hurricane), chiamato Medicane, sta lasciando la Sicilia orientale, dopo avere messo in ginocchio tutte le provincie di...
Il maltempo si è fatto sentire anche stanotte nella zona orientale della Sicilia, dove in alcuni casi non sono mancate...
Una notte di piogge e vento nella Sicilia orientale per effetto del fenomeno Medicane, denominato Apollo. Pioggia battente con temporali...
Da mercoledì sera e per tutta la notte a Pantelleria si è abbattuto un nubifragio che ha creato disagi e...
Dopo un giorno di tregua, in Sicilia si teme l’arrivo di un uragano mediterraneo. È atteso tra giovedì e venerdì....
Il maltempo non ha intenzione di lasciare la Sicilia, dopo le alluvioni che hanno messo in ginocchio il Catanese e...